Weather Iota La . High/low, precipitation chances, sunrise/sunset, and today's. hourly weather forecast in iota, la. hourly local weather forecast, weather conditions, precipitation, dew point, humidity, wind from weather.com and the weather. Check current conditions in iota, la with radar, hourly, and more. everything you need to know about today's weather in iota, la. showers and thunderstorms likely before 1pm, then showers and possibly a thunderstorm between 1pm and 4pm,. today’s and tonight’s iota, la weather forecast, weather conditions and doppler radar from the weather channel and.
from scitechdaily.com
showers and thunderstorms likely before 1pm, then showers and possibly a thunderstorm between 1pm and 4pm,. everything you need to know about today's weather in iota, la. hourly local weather forecast, weather conditions, precipitation, dew point, humidity, wind from weather.com and the weather. today’s and tonight’s iota, la weather forecast, weather conditions and doppler radar from the weather channel and. hourly weather forecast in iota, la. Check current conditions in iota, la with radar, hourly, and more. High/low, precipitation chances, sunrise/sunset, and today's.
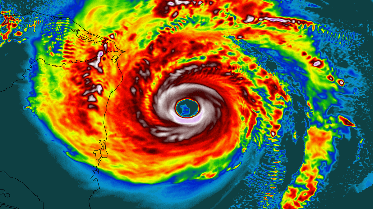
Dangerous Category 5 Hurricane Iota Sets LateSeason Records
Weather Iota La hourly weather forecast in iota, la. today’s and tonight’s iota, la weather forecast, weather conditions and doppler radar from the weather channel and. Check current conditions in iota, la with radar, hourly, and more. hourly weather forecast in iota, la. High/low, precipitation chances, sunrise/sunset, and today's. everything you need to know about today's weather in iota, la. hourly local weather forecast, weather conditions, precipitation, dew point, humidity, wind from weather.com and the weather. showers and thunderstorms likely before 1pm, then showers and possibly a thunderstorm between 1pm and 4pm,.
From ticotimes.net
Hurricane Iota’s landfall was just 15 miles from Hurricane Eta’s Weather Iota La today’s and tonight’s iota, la weather forecast, weather conditions and doppler radar from the weather channel and. hourly local weather forecast, weather conditions, precipitation, dew point, humidity, wind from weather.com and the weather. everything you need to know about today's weather in iota, la. High/low, precipitation chances, sunrise/sunset, and today's. Check current conditions in iota, la with. Weather Iota La.
From weatherboy.com
Hurricane Iota Gaining Strength Weather Iota La showers and thunderstorms likely before 1pm, then showers and possibly a thunderstorm between 1pm and 4pm,. High/low, precipitation chances, sunrise/sunset, and today's. everything you need to know about today's weather in iota, la. Check current conditions in iota, la with radar, hourly, and more. hourly local weather forecast, weather conditions, precipitation, dew point, humidity, wind from weather.com. Weather Iota La.
From ticotimes.net
Tropical Storm Iota reaches Honduras; cyclone has killed at least eight Weather Iota La showers and thunderstorms likely before 1pm, then showers and possibly a thunderstorm between 1pm and 4pm,. High/low, precipitation chances, sunrise/sunset, and today's. Check current conditions in iota, la with radar, hourly, and more. everything you need to know about today's weather in iota, la. hourly local weather forecast, weather conditions, precipitation, dew point, humidity, wind from weather.com. Weather Iota La.
From www.nbcnews.com
Iota, 13th hurricane of the 2020 season, heads toward Central America Weather Iota La hourly local weather forecast, weather conditions, precipitation, dew point, humidity, wind from weather.com and the weather. Check current conditions in iota, la with radar, hourly, and more. High/low, precipitation chances, sunrise/sunset, and today's. showers and thunderstorms likely before 1pm, then showers and possibly a thunderstorm between 1pm and 4pm,. everything you need to know about today's weather. Weather Iota La.
From www.flkeysnews.com
Hurricane Iota makes landfall as Category 4 FL Keys News Weather Iota La today’s and tonight’s iota, la weather forecast, weather conditions and doppler radar from the weather channel and. Check current conditions in iota, la with radar, hourly, and more. High/low, precipitation chances, sunrise/sunset, and today's. showers and thunderstorms likely before 1pm, then showers and possibly a thunderstorm between 1pm and 4pm,. everything you need to know about today's. Weather Iota La.
From weather.com
Hurricane Iota Rapidly Intensifies, Could Deliver Catastrophic Blow to Weather Iota La hourly local weather forecast, weather conditions, precipitation, dew point, humidity, wind from weather.com and the weather. Check current conditions in iota, la with radar, hourly, and more. showers and thunderstorms likely before 1pm, then showers and possibly a thunderstorm between 1pm and 4pm,. everything you need to know about today's weather in iota, la. hourly weather. Weather Iota La.
From viborc.com
Hurricane Iota is the 30th storm this season and it's already Cat 5 Weather Iota La hourly local weather forecast, weather conditions, precipitation, dew point, humidity, wind from weather.com and the weather. today’s and tonight’s iota, la weather forecast, weather conditions and doppler radar from the weather channel and. showers and thunderstorms likely before 1pm, then showers and possibly a thunderstorm between 1pm and 4pm,. High/low, precipitation chances, sunrise/sunset, and today's. everything. Weather Iota La.
From www.weatherboy.com
Rapid Intensification of Iota Expected Prior to Landfall Weather Iota La showers and thunderstorms likely before 1pm, then showers and possibly a thunderstorm between 1pm and 4pm,. hourly local weather forecast, weather conditions, precipitation, dew point, humidity, wind from weather.com and the weather. Check current conditions in iota, la with radar, hourly, and more. today’s and tonight’s iota, la weather forecast, weather conditions and doppler radar from the. Weather Iota La.
From www.al.com
Hurricane Iota path update Iota 2020’s 13th hurricane Weather Iota La today’s and tonight’s iota, la weather forecast, weather conditions and doppler radar from the weather channel and. showers and thunderstorms likely before 1pm, then showers and possibly a thunderstorm between 1pm and 4pm,. hourly weather forecast in iota, la. hourly local weather forecast, weather conditions, precipitation, dew point, humidity, wind from weather.com and the weather. High/low,. Weather Iota La.
From www.cbsnews.com
Hurricane Iota Slams Ashore As Category 4 Storm Near Where Eta Made Weather Iota La hourly local weather forecast, weather conditions, precipitation, dew point, humidity, wind from weather.com and the weather. hourly weather forecast in iota, la. today’s and tonight’s iota, la weather forecast, weather conditions and doppler radar from the weather channel and. Check current conditions in iota, la with radar, hourly, and more. High/low, precipitation chances, sunrise/sunset, and today's. . Weather Iota La.
From www.wavy.com
Blog Finally, Some Quiet Local Weather! Hurricane Iota Follows Eta Weather Iota La everything you need to know about today's weather in iota, la. High/low, precipitation chances, sunrise/sunset, and today's. showers and thunderstorms likely before 1pm, then showers and possibly a thunderstorm between 1pm and 4pm,. hourly weather forecast in iota, la. today’s and tonight’s iota, la weather forecast, weather conditions and doppler radar from the weather channel and.. Weather Iota La.
From www.nbc4i.com
Iota continues to cause threats to Central America after landfall Weather Iota La showers and thunderstorms likely before 1pm, then showers and possibly a thunderstorm between 1pm and 4pm,. hourly local weather forecast, weather conditions, precipitation, dew point, humidity, wind from weather.com and the weather. Check current conditions in iota, la with radar, hourly, and more. today’s and tonight’s iota, la weather forecast, weather conditions and doppler radar from the. Weather Iota La.
From www.severe-weather.eu
Hurricane Warning for Nicaragua and Honduras ahead of an explosively Weather Iota La everything you need to know about today's weather in iota, la. Check current conditions in iota, la with radar, hourly, and more. hourly local weather forecast, weather conditions, precipitation, dew point, humidity, wind from weather.com and the weather. today’s and tonight’s iota, la weather forecast, weather conditions and doppler radar from the weather channel and. hourly. Weather Iota La.
From www.acadia.k12.la.us
Early Closure Monday Due to Weather IOTA MIDDLE SCHOOL Weather Iota La today’s and tonight’s iota, la weather forecast, weather conditions and doppler radar from the weather channel and. hourly local weather forecast, weather conditions, precipitation, dew point, humidity, wind from weather.com and the weather. High/low, precipitation chances, sunrise/sunset, and today's. hourly weather forecast in iota, la. showers and thunderstorms likely before 1pm, then showers and possibly a. Weather Iota La.
From abcnews.go.com
Hurricane Iota takes aim at Central America Video ABC News Weather Iota La everything you need to know about today's weather in iota, la. High/low, precipitation chances, sunrise/sunset, and today's. Check current conditions in iota, la with radar, hourly, and more. hourly weather forecast in iota, la. today’s and tonight’s iota, la weather forecast, weather conditions and doppler radar from the weather channel and. hourly local weather forecast, weather. Weather Iota La.
From qcostarica.com
IMN rules out extreme rains to the indirect effect of tropical storm Weather Iota La everything you need to know about today's weather in iota, la. showers and thunderstorms likely before 1pm, then showers and possibly a thunderstorm between 1pm and 4pm,. hourly local weather forecast, weather conditions, precipitation, dew point, humidity, wind from weather.com and the weather. High/low, precipitation chances, sunrise/sunset, and today's. hourly weather forecast in iota, la. Check. Weather Iota La.
From scitechdaily.com
Dangerous Category 5 Hurricane Iota Sets LateSeason Records Weather Iota La hourly local weather forecast, weather conditions, precipitation, dew point, humidity, wind from weather.com and the weather. everything you need to know about today's weather in iota, la. hourly weather forecast in iota, la. today’s and tonight’s iota, la weather forecast, weather conditions and doppler radar from the weather channel and. High/low, precipitation chances, sunrise/sunset, and today's.. Weather Iota La.
From www.youtube.com
Wednesday morning tropical weather update Iota moves over El Salvador Weather Iota La today’s and tonight’s iota, la weather forecast, weather conditions and doppler radar from the weather channel and. showers and thunderstorms likely before 1pm, then showers and possibly a thunderstorm between 1pm and 4pm,. everything you need to know about today's weather in iota, la. hourly local weather forecast, weather conditions, precipitation, dew point, humidity, wind from. Weather Iota La.